Árbol
Tomado de : https://www.gbif.org/species/5407147
Distribución en Ecuador
Vista Macroscópica
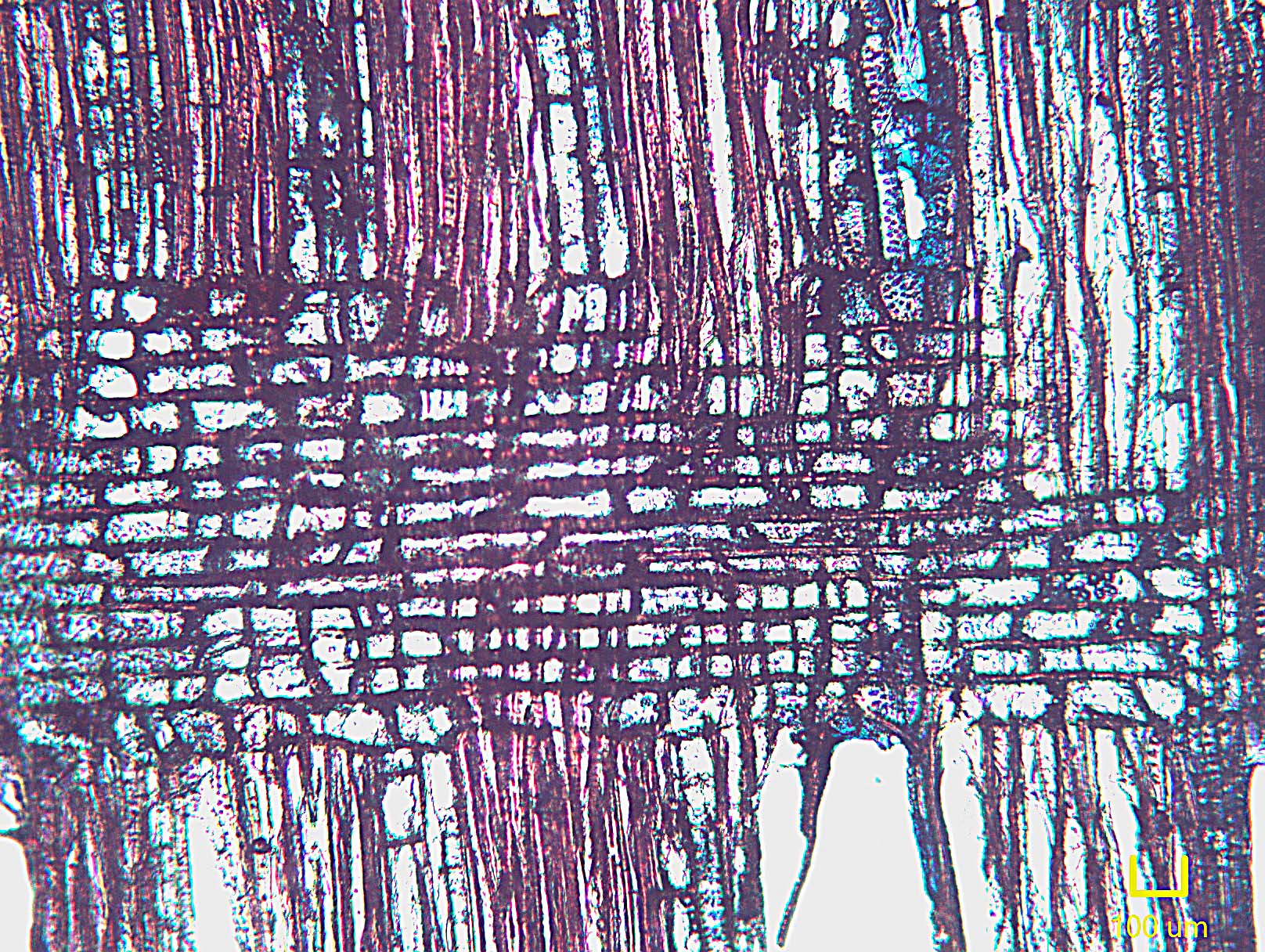
Propiedades físicas, organolépticas y características anatómicas
Propiedades físicas:
- Contenido de humedad (%): 36.81
- Densidad en verde (g/cm3): 0.93
- Densidad en equilibrio (g/cm3): 0.8
- Densidad anhidro (g/cm3): 0.73
- Densidad básica (g/cm3): 0.68
- Contracción longitudinal (cm3): 0.81
- Contracción tangencial (cm3): 0.63
- Contracción radial (cm3): 0.89
- Contracción volumétrica (cm3): 4.97
Propiedades organolépticas:
- Sabor: Astringente
- Olor: Aromático
- Color: Marron
- Textura: Fina
- Brillo: Bajo
- Peso: Liviano
- Grano: Oblicuo/Inclinado
Características anatómicas:
- 1 - Anillos de crecimiento visibles
- 5 - Anillos con poros difusos
- 7 - Vasos (poros) en patrones radiales o diagonales
- 10 - Vasos (poros) en grupos radiales de 4 o más
- 16 - Placas de perforación escalariformes con 10 -20 barras
- 22 - Punteaduras intervasculares alternas
- 25 - Pequeño - 4-7 μm
- 69 - Fibras de pared delgada a gruesa
- 75 - Parénquima axial ausente o extremadamente raro.
- 78 - Parénquima axial paratraqueal escaso
- 87 - Parénquima axial reticulado
- 92 - Cuatro (3-4) células por hebra de parénquima
- 93 - Ocho (5-8) células por hebra de parénquima
- 97 - Radios con ancho de 1 a 3 series
- 103 - Radios de dos tamaños distintos
- 109 - Radios con una mezcla de células procumbentes, cuadradas y verticales
